|
|
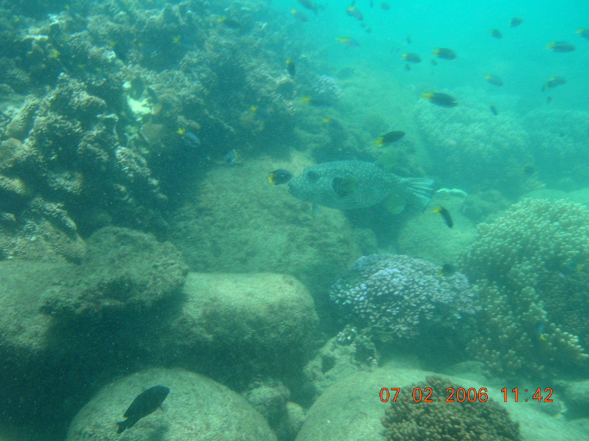
Hard undifferentiated coral on consolidated substrate in shallow to deep waterShort descriptionSubtidal coral ecosystems on consolidated substrate in shallow to deep water, dominated by undifferentiated hard corals. Disclaimer: Ecosystem type descriptions are based on biophysical attributes identified in Central Queensland through expert advice and supported by scientific literature. Not all ecosystem types are mapped based on current inventory, and many of the ecosystems described here may also occur in other parts of Queensland.
Classification categoriesSelect from the links below to view related ecosystem type categories Long descriptionSubtidal hard coral on consolidated substrate (e.g. fringing reefs, shelf reefs and as coral communities on rock) in shallow (0 to 10 metres) to deep water (to 30 metres), where structure is not differentiated. There are distinct ecological differences between coral ecosystems growing on rock, fringing reefs and shelf reefs. The majority of fringing reefs of the coastal Great Barrier Reef began their growth on unconsolidated sediments and few originated on rock[5]. For further discussion on the different types of fringing reef, see consolidated/intermediate calcareous reef including coral platform (type 100). Typically coral fringing reefs and shelf reefs include mixtures of hard and soft corals and macroalgae, which can grow in distinct zones horizontally across a reef and vertically in depth, alternating with unconsolidated sediments and consolidated rock. Hard corals are a critical component of fringing reefs and shelf reefs as they actively lay down carbonate, creating their own consolidated substrate. Special valuesThe values of Queensland’s coral reefs are internationally recognised in the World Heritage and Ramsar conventions. The Outstanding Universal Value of the Great Barrier Reef World Heritage area is based on four criteria (vii), (viii), (ix), (x). The Ramsar convention also includes coral reefs as one of its wetland types which make up part of a site’s ecological character (a combination of the ecosystem components, processes and services of the wetland). The Great Sandy Strait Ramsar wetland also includes coral reefs (e.g. Woody and Round Island reefs, coral communities at Little Woody Island, and soft corals on coffee rock reefs). Shoalwater and Corio Bays Ramsar wetland and the Moreton Bay Ramsar wetland also includes fringing coral reefs. Hard corals create carbonate consolidated substrate that is living space for a range of biota. They create structural substrates valued for their recreational (snorkelling, spear-fishing, angling), tourism and aesthetic values. They also occur on rocky reefs at high latitudes. They form important fish habitats for a variety of coral-dwelling fish species and support major line fin fisheries) and sharks. Coral reefs and communities also stabilise the shoreline preventing erosion and protect the coastline by moderating the impacts of waves[4]. Diagnostic attributesInundation 'Subtidal' Benthic depth 'Shallow (0-10m)', 'Deep (10-30m)' Consolidation 'Consolidated' Structural macrobiota 'Hard coral – undifferentiated', 'Hard coral – branching', 'Hard coral – bushy', 'Hard coral – massive', 'Hard coral – submassive', 'Hard coral – vase/foliose', 'Hard coral – plate/table', 'Hard coral – encrusting', 'Hard coral – mixture of structures' QualifiersThe Cover qualifier is relevant as the percentage of hard coral substrate is an important indicator for monitoring of coral condition on coral reefs and communities. DistributionIn general mainland fringing with hard coral reefs occur around the Whitsundays and Cairns northward and inshore reef growth of the southern Great Barrier Reef (south of 21 degrees S) is considered poor, related to turbidity controls on coral carbonate production and accumulation[5]. Hard corals grow on rocky reefs and as a veneer on old carbonate reefs in Moreton Bay[1]. The following relates to distribution of this ecosystem type within the Central Queensland mapping area:
CommentsWater temperature is critical to all corals as they are sensitive to extremes of heat and cold, resulting in bleaching due to the loss of endosymbiotic dinoflagellates (e.g. zooxanthellae) and therefore the ability to photosynthesise[2]. Benthic rugosity of coral reefs is important for creating three-dimensional living space for biota including fish, and allowing more shading which can protect corals during bleaching events[3]. Additional InformationProtecting the Great Barrier Reef - Queensland Government Coral - Department of the Environment, Tourism, Science and Innovation Coral reefs - Queensland Museum The Reef - Great Barrier Reef Marine Park Authority Nationally (DIWA) and internationally important (Ramsar) wetlands - WetlandInfo Coral Indicators for the 2017 Gladstone Harbour Report Card - Australian Institute of Marine Science Reef Report Card 2016 - Queensland Government Great Barrier Reef Outlook Report - Great Barrier Reef Marine Park Authority Monitoring inshore reefs - Australian Institute of Marine Science Reef Check Methods - Reef Check Australia Coral reefs - Museum of Tropical Queensland Remote Sensing Research Centre - The University of Queensland References
Last updated: 12 July 2019 This page should be cited as: Department of the Environment, Tourism, Science and Innovation, Queensland (2019) Hard undifferentiated coral on consolidated substrate in shallow to deep water, WetlandInfo website, accessed 15 December 2025. Available at: https://wetlandinfo.detsi.qld.gov.au/wetlands/ecology/aquatic-ecosystems-natural/estuarine-marine/descriptions/66/ |



— Department of the Environment, Tourism, Science and Innovation